Движение на проспекте Республики в Астане восстановят 20 июля

Асель Сатаева
Асель Сатаева Выпускающий редактор

ПОДЕЛИТЬСЯ

Движение на проспекте Республики в Астане восстановят 20 июля

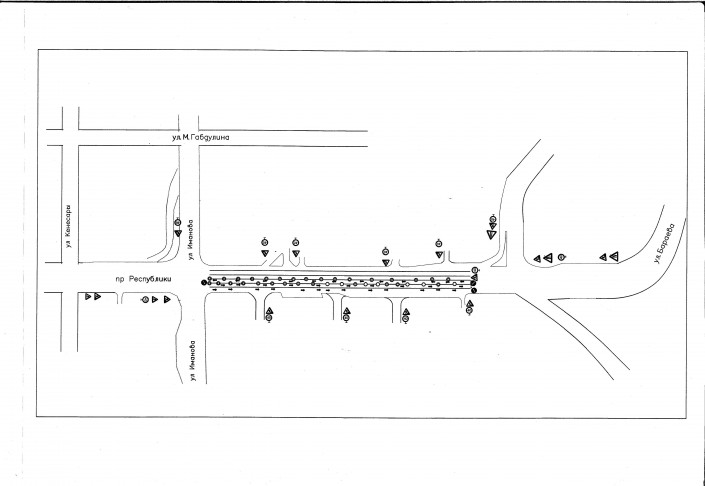
Движение на проспекте Республики в Астане полностью восстановят 20 июля, сообщает Tengrinews.kz со ссылкой на акимат столице.  

ПОДЕЛИТЬСЯ

Движение на проспекте Республики в Астане полностью восстановят 20 июля, сообщает Tengrinews.kz со ссылкой на акимат столице.  

Столичным Управлением автомобильных дорог города продолжаются ремонтные работы по проспекту Республикина участке от  улицы Иманова до транспортной развязки в районе микрорайона "Самал".

"С 17 по 19 июля этого года на указанном участке сохраняется частичное перекрытие движения автотранспортных средств. Движение транспорта на проспекте Республики будет полностью восстановлено 20 июля", - говорится в распространенной информации.  

Во избежание возникновения заторовых ситуаций на дорогах города Управление рекомендует жителям и гостям столицы заранее планировать свои маршруты. 

Ранее сообщалось, что проспект Республики перекроют с 14 по 17 июля.

Tengrinews
Читайте также
Join Telegram

Курс валют

 507.16  course up  594.97  course up  6.53  course down

 

Погода

location-current
Алматы
А
Алматы -9
Астана -14
Актау -7
Актобе -14
Атырау -13
Б
Балхаш -20
Ж
Жезказган -15
К
Караганда -19
Кокшетау -20
Костанай -9
Кызылорда -15
П
Павлодар -25
Петропавловск -13
С
Семей -15
Т
Талдыкорган -9
Тараз -5
Туркестан -11
У
Уральск -11
Усть-Каменогорск -1
Ш
Шымкент -18

 

Редакция Реклама
Социальные сети